Dettagli
- RiferimentoB7
- ContrattoVendita
- TipologiaPorzione Di Casa
- LocalitàVenezia - Zelarino
- Superficie: 125 mq
- Prezzo: € 330.000
- Piano: Piano terra
- Livelli: 3
- Numero Vani: 6.0
- Numero Camere: 3
- Numero Bagni: 2
- Posto Auto: Posto Auto
- Piscina: No
- Giardino: Privato
- Ascensore: No
- Cucina: Semi abitabile
- Classe Energetica: B
- IPE: N.D.
- EPI: N.D.
- EPE: N.D.
- P.E. Rinnovabile: N.D.
- P.E. Non Rinnovabile: N.D.
- Prestazione Estate: N.D.
- Prestazione Inverno: N.D.
- Edif. Energia quasi 0: N.D.
- Riscaldamento: Autonomo
- Tipo riscaldamento: A pavimento
- Aria Condizionata: Sì
- Lati liberi: Tre
Descrizione
Trivignano – Porzione indipendente ristrutturata con
giardino e terrazza abitabile
In una posizione tranquilla e riservata, a pochi passi dal
centro di Trivignano, proponiamo in vendita una porzione di casa
indipendente completamente restaurata, perfetta per chi desidera vivere in
un ambiente moderno, efficiente e circondato dal verde, senza rinunciare alla
comodità dei servizi.
La proprietà si trova in un contesto residenziale ben
servito da scuole, negozi, aree verdi e fermate degli autobus dirette a Mestre,
Venezia e Martellago. In pochi minuti d’auto si raggiungono l’ospedale
dell’Angelo, la tangenziale e il centro commerciale Porte di Mestre.
La casa si sviluppa su tre livelli ottimamente
distribuiti.
Piano terra – portico, accogliente ingresso, zona
giorno luminosa, cucina con uscita diretta sul giardino, bagno finestrato con
doccia, disimpegno e vano predisposto per lavanderia.
Primo piano – zona notte composta da camera
matrimoniale con ampio terrazzo abitabile, camera singola e secondo
bagno finestrato con doccia.
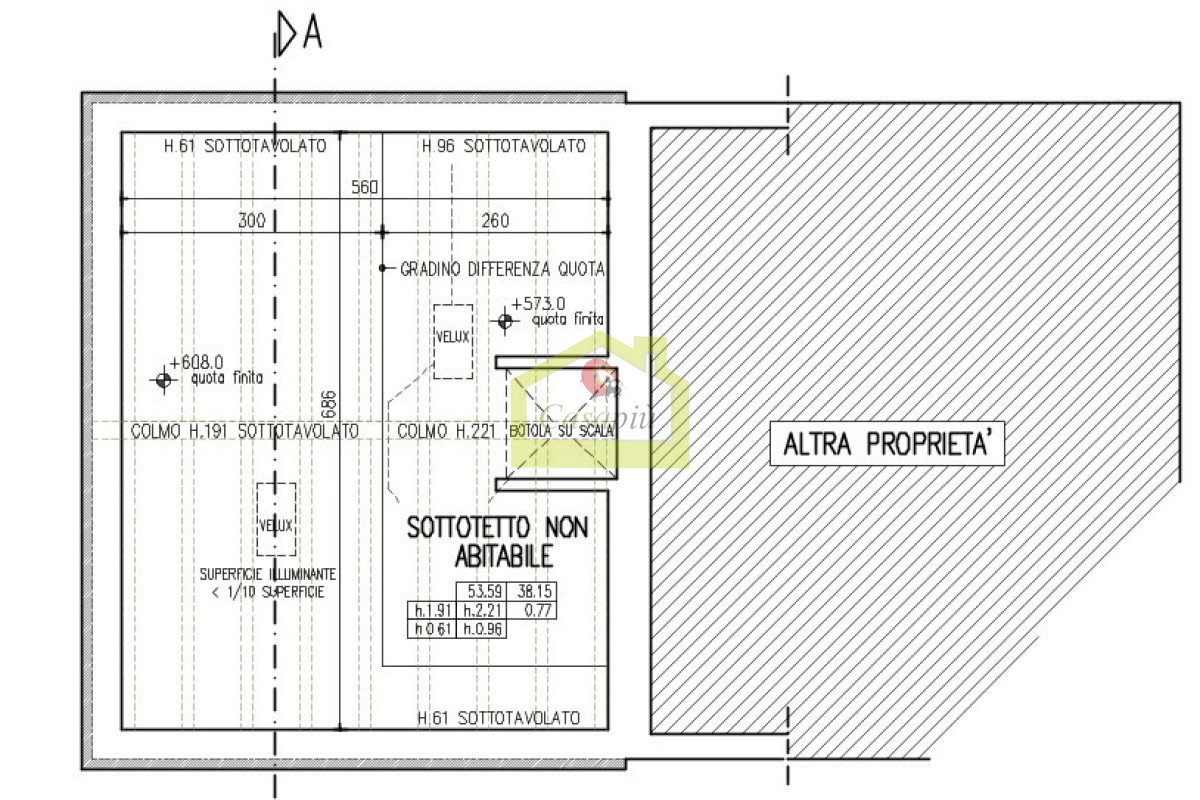
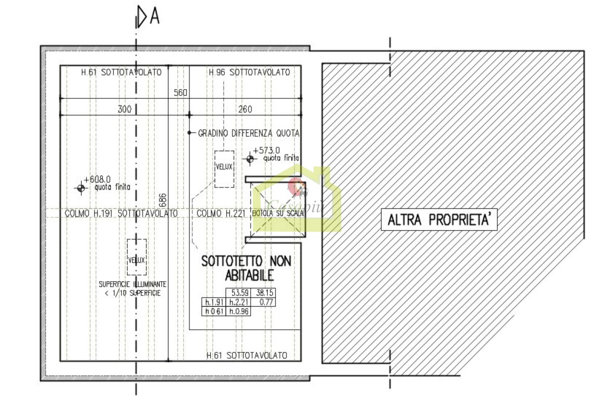
Piano mansardato – spazioso ambiente pluriuso, ideale
come terza camera o studio e con possibilità di terzo servizio.
L’abitazione è stata oggetto di un accurato intervento di
restauro che ha valorizzato ogni elemento strutturale e impiantistico:
- Infissi
in legno con doppio vetrocamera
- Riscaldamento
a pavimento ai piani principali
- Predisposizione
per tre climatizzatori
- Caldaia
di nuova generazione
- Giardino
privato di circa 200 mq con portico coperto e doppio accesso carrabile
- Posti
auto interni alla proprietà
Un’abitazione che unisce indipendenza, eleganza e
praticità, soluzione perfetta per una famiglia.
Contattaci per avere maggiori info e fissare una visita.
Cell. 3356066693 - 3477296662


